Bursa'daki 2 mahalle hakkında imar kararı! Tek tek açıklandı...
Bursa'daki 2 mahalle hakkında imar kararı! Tek tek açıklandı...
Bursa Yıldırım Belediyesi, 2 mahalleyi ilgilendiren askıdaki imar kararlarını duyurdu. İşte o mahalleler...
Haber Giriş Tarihi: 14.12.2025 15:12
Haber Güncellenme Tarihi: 14.12.2025 15:18
Kaynak:
BURSA HAKİMİYET
Yıldırım Belediyesi, 2 mahalle için alınan yeni imar kararlarını açıkladı.
HANGİ MAHALLELERİ İLGİLENDİRİYOR?
Duyuruda yer alan mahalleler: Teferrüç ve Beyazıt mahalleleri olarak açıklandı.
Belediye tarafından yapılan duyuruda yer alan ifadeler şunlar:
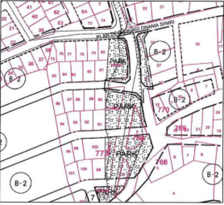
Bursa İli, Yıldırım İlçesi, Teferrüç Mahallesi, 770 ada 10, 11, 12, 13, 15, 27 parseller ile 772 ada 103 parsel ile Park Alanlarına ilişkin 1/1000 ölçekli Uygulama İmar Planı Değişikliği; Yıldırım Belediye Meclisi’nin 03.09.2025 tarih 317 sayılı kararı ile 3194 sayılı Kanunun 8/ b maddesine göre kabul dilerek, Bursa Büyükşehir Belediye Meclisi’nin 14.10.2025 tarih 1289 sayılı kararı ile onaylanmıştır.
Bursa İli, Yıldırım İlçesi, Beyazıt Mahallesi, 2849, 2850, 2851, 2852, 2853, 2854, 2855, 2856, 2857 adaların bulunduğu alana ilişkin 1/1000 ölçekli Uygulama İmar Planı Değişikliği; Yıldırım Belediye Meclisi’nin 02.07.2025 tarih 279 sayılı kararı ile 3194 sayılı Kanunun 8/ b maddesine göre kabul dilerek, Bursa Büyükşehir Belediye Meclisi’nin 14.10.2025 tarih 1289 sayılı kararı ile onaylanmıştır.
Bursa İli, Yıldırım İlçesi, Beyazıt Mahallesi, 3621 ada 78 parsele ilişkin 1/1000 ölçekli Uygulama İmar Planı Değişikliği; Yıldırım Belediye Meclisi’nin 02.07.2025 tarih 278 sayılı kararı ile 3194 sayılı Kanunun 8/ b maddesine göre kabul dilerek, Bursa Büyükşehir Belediye Meclisi’nin 14.10.2025 tarih 1289 sayılı kararı ile onaylanmıştır
Sizlere daha iyi hizmet sunabilmek adına sitemizde çerez konumlandırmaktayız. Kişisel verileriniz, KVKK ve GDPR
kapsamında toplanıp işlenir. Sitemizi kullanarak, çerezleri kullanmamızı kabul etmiş olacaksınız.
En son gelişmelerden anında haberdar olmak için 'İZİN VER' butonuna tıklayınız.
Bursa'daki 2 mahalle hakkında imar kararı! Tek tek açıklandı...
Bursa Yıldırım Belediyesi, 2 mahalleyi ilgilendiren askıdaki imar kararlarını duyurdu. İşte o mahalleler...
Yıldırım Belediyesi, 2 mahalle için alınan yeni imar kararlarını açıkladı.
HANGİ MAHALLELERİ İLGİLENDİRİYOR?
Duyuruda yer alan mahalleler: Teferrüç ve Beyazıt mahalleleri olarak açıklandı.
Belediye tarafından yapılan duyuruda yer alan ifadeler şunlar:
Bursa İli, Yıldırım İlçesi, Teferrüç Mahallesi, 770 ada 10, 11, 12, 13, 15, 27 parseller ile 772 ada 103 parsel ile Park Alanlarına ilişkin 1/1000 ölçekli Uygulama İmar Planı Değişikliği; Yıldırım Belediye Meclisi’nin 03.09.2025 tarih 317 sayılı kararı ile 3194 sayılı Kanunun 8/ b maddesine göre kabul dilerek, Bursa Büyükşehir Belediye Meclisi’nin 14.10.2025 tarih 1289 sayılı kararı ile onaylanmıştır.
Bursa İli, Yıldırım İlçesi, Beyazıt Mahallesi, 2849, 2850, 2851, 2852, 2853, 2854, 2855, 2856, 2857 adaların bulunduğu alana ilişkin 1/1000 ölçekli Uygulama İmar Planı Değişikliği; Yıldırım Belediye Meclisi’nin 02.07.2025 tarih 279 sayılı kararı ile 3194 sayılı Kanunun 8/ b maddesine göre kabul dilerek, Bursa Büyükşehir Belediye Meclisi’nin 14.10.2025 tarih 1289 sayılı kararı ile onaylanmıştır.
Bursa İli, Yıldırım İlçesi, Beyazıt Mahallesi, 3621 ada 78 parsele ilişkin 1/1000 ölçekli Uygulama İmar Planı Değişikliği; Yıldırım Belediye Meclisi’nin 02.07.2025 tarih 278 sayılı kararı ile 3194 sayılı Kanunun 8/ b maddesine göre kabul dilerek, Bursa Büyükşehir Belediye Meclisi’nin 14.10.2025 tarih 1289 sayılı kararı ile onaylanmıştır
Kaynak: BURSA HAKİMİYET
Hasan Dağı'nda mahsur kalan öğrenciler helikopterle kurtarıldı
İstanbul trafiğinde gergin anlar: Motosiklet sürücüsü kaskıyla otomobile saldırdı
İstanbul'da düğün konvoyunda trafiği tehlikeye atan şahıslara 15 bin 888 TL ceza kesildi
Mardin’de acı olay: Soluk borusuna fasulye kaçan 3 yaşındaki çocuk hayatını kaybetti
Adana'da kamyonete arkadan çarpan motosiklet sürücüsü yaşamını yitirdi
Son halini gören gözlerine inanamadı! Ünlü şarkıcı Bülent Serttaş adeta eridi
Muhasebecilerden Maliye Tebliği'ne tepki: Popülist yaklaşımlara kurban edilemez!
Şekeri bırakmanın vücutta yarattığı 6 olumlu değişim
Evrim Akın, sunuculuğunu yaptığı 'Ev Gezmesi' programından çıkartıldı
İstanbul'da kuaför dükkanına baltalı saldırı kameraya yansıdı
Bursa'da trafikte dehşet anları: Araçta 2 yaşındaki çocuğun bulunduğu aileye...
Cumhurbaşkanı Erdoğan'dan Şehzadeler Belediye Başkanı Durbay için taziye mesajı
Jose Mourinho'nun hedefi Youssef En-Nesyri
Kayseri'de kaza üstüne kaza: 1'i ağır 7 yaralı
6 ay içinde ikinci belediye başkanını kaybeden Özel'den duygusal veda