Bursalılar dikkat! En işlek yol trafiğe kapatılıyor...
Bursalılar dikkat! En işlek yol trafiğe kapatılıyor...
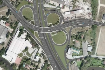
Bursa'da Nilüfer, Osmangazi ve Mudanya ilçelerini birbirine bağlayarak bölgedeki trafik yoğunluğunu önemli ölçüde azaltması hedeflenen Geçit Köprüsü Projesi'nde çalışmalar hız kesmeden devam ediyor. Bu kapsamda Bursa Büyükşehir Belediyesi, Nilüferköy ile Geçit mahalleleri arasındaki güzergahta trafik düzenlemesi yapılacağını duyurdu.
Haber Giriş Tarihi: 03.01.2026 11:48
Haber Güncellenme Tarihi: 03.01.2026 11:48
Kaynak:
Haber Merkezi
Bursa'da Nilüfer, Osmangazi ve Mudanya ilçelerini birbirine bağlayarak bölgedeki trafik yoğunluğunu önemli ölçüde azaltması hedeflenen Geçit Köprüsü Projesi'nde çalışmalar hız kesmeden devam ediyor. Bu kapsamda, Mudanya Sanayi Yolu Caddesi üzerinde, Nilüferköy ile Geçit mahalleleri arasındaki güzergahta inşa edilen Geçit Köprüsü'nde 20 adet öngerme kirişinin montajı gerçekleştirilecek.
Montaj çalışmalarına 05 Ocak 2026 Pazartesi gecesi başlanacak olup, çalışmaların 5 gece sürmesi planlanmaktadır. Çalışmalar süresince, 00.00 - 06.00 saatleri arasında Mudanya-şehir merkezi istikametindeki yol trafiğe kapatılacaktır.
Üç ilçeyi birbirine bağlayarak bölgedeki ulaşımı daha güvenli ve akıcı hale getirecek olan proje tamamlandığında, bölgedeki trafik yükünün önemli ölçüde azalması hedeflenmektedir. Sürücülerin, belirtilen saatlerde alternatif güzergâhları kullanmaları önemle rica olunur.
Sizlere daha iyi hizmet sunabilmek adına sitemizde çerez konumlandırmaktayız. Kişisel verileriniz, KVKK ve GDPR
kapsamında toplanıp işlenir. Sitemizi kullanarak, çerezleri kullanmamızı kabul etmiş olacaksınız.
En son gelişmelerden anında haberdar olmak için 'İZİN VER' butonuna tıklayınız.
Bursalılar dikkat! En işlek yol trafiğe kapatılıyor...
Bursa'da Nilüfer, Osmangazi ve Mudanya ilçelerini birbirine bağlayarak bölgedeki trafik yoğunluğunu önemli ölçüde azaltması hedeflenen Geçit Köprüsü Projesi'nde çalışmalar hız kesmeden devam ediyor. Bu kapsamda Bursa Büyükşehir Belediyesi, Nilüferköy ile Geçit mahalleleri arasındaki güzergahta trafik düzenlemesi yapılacağını duyurdu.
Bursa'da Nilüfer, Osmangazi ve Mudanya ilçelerini birbirine bağlayarak bölgedeki trafik yoğunluğunu önemli ölçüde azaltması hedeflenen Geçit Köprüsü Projesi'nde çalışmalar hız kesmeden devam ediyor. Bu kapsamda, Mudanya Sanayi Yolu Caddesi üzerinde, Nilüferköy ile Geçit mahalleleri arasındaki güzergahta inşa edilen Geçit Köprüsü'nde 20 adet öngerme kirişinin montajı gerçekleştirilecek.
Montaj çalışmalarına 05 Ocak 2026 Pazartesi gecesi başlanacak olup, çalışmaların 5 gece sürmesi planlanmaktadır. Çalışmalar süresince, 00.00 - 06.00 saatleri arasında Mudanya-şehir merkezi istikametindeki yol trafiğe kapatılacaktır.
Üç ilçeyi birbirine bağlayarak bölgedeki ulaşımı daha güvenli ve akıcı hale getirecek olan proje tamamlandığında, bölgedeki trafik yükünün önemli ölçüde azalması hedeflenmektedir. Sürücülerin, belirtilen saatlerde alternatif güzergâhları kullanmaları önemle rica olunur.
Kaynak: Haber Merkezi
Suriye, terör örgütü DEAŞ’ın saldırısında iki gümrük memurunun öldüğünü açıkladı
Dışişleri Bakanı Hakan Fidan: Türkiye olarak krizin yayılmasını önlemeye çalışıyoruz
Güney Marmara'da bazı feribot seferleri iptal edildi
AK Parti MYK toplandı
ABD Başkanı Trump: NATO'nun yardımına ihtiyacımız yok
İran'ın Dünya Kupası'na katılmak için bir şartı var
Van'da çığ düştü: 1 mahalle ve 8 mezraya ulaşımı sağlanamıyor
Lübnan Sağlık Bakanlığı duyurdu: İsrail’in Lübnan’a yönelik saldırılarında can kaybı 912’ye yükseldi
'Uyuşturucu' soruşturmasında flaş gelişme! 2 ünlü isim tahliye edildi...
Hamza Akman'a 2 maç ceza verildi
Özgür Özel: 19 yıllık maaşıyla 190 yılda alamayacağı kadar gayrimenkul almış
Gözaltına alınan Testo Taylan'ın ifadesi ortaya çıktı
Siyasi partilerin genel başkanları bayramda nerede olacak: Programlar netleşti
Başkan Şadi Özdemir: Nilüfer’in kalbi ve geleceği satılık değildir!
FIFA'dan İran'a Dünya Kupası çağrısı